Upcoming Water Service Interruption and Boil Water Advisory Issued for portions of Gloinnzun Crescent in the 108 Mile Water System.
Upcoming Water Service Interruption and Boil Water Advisory
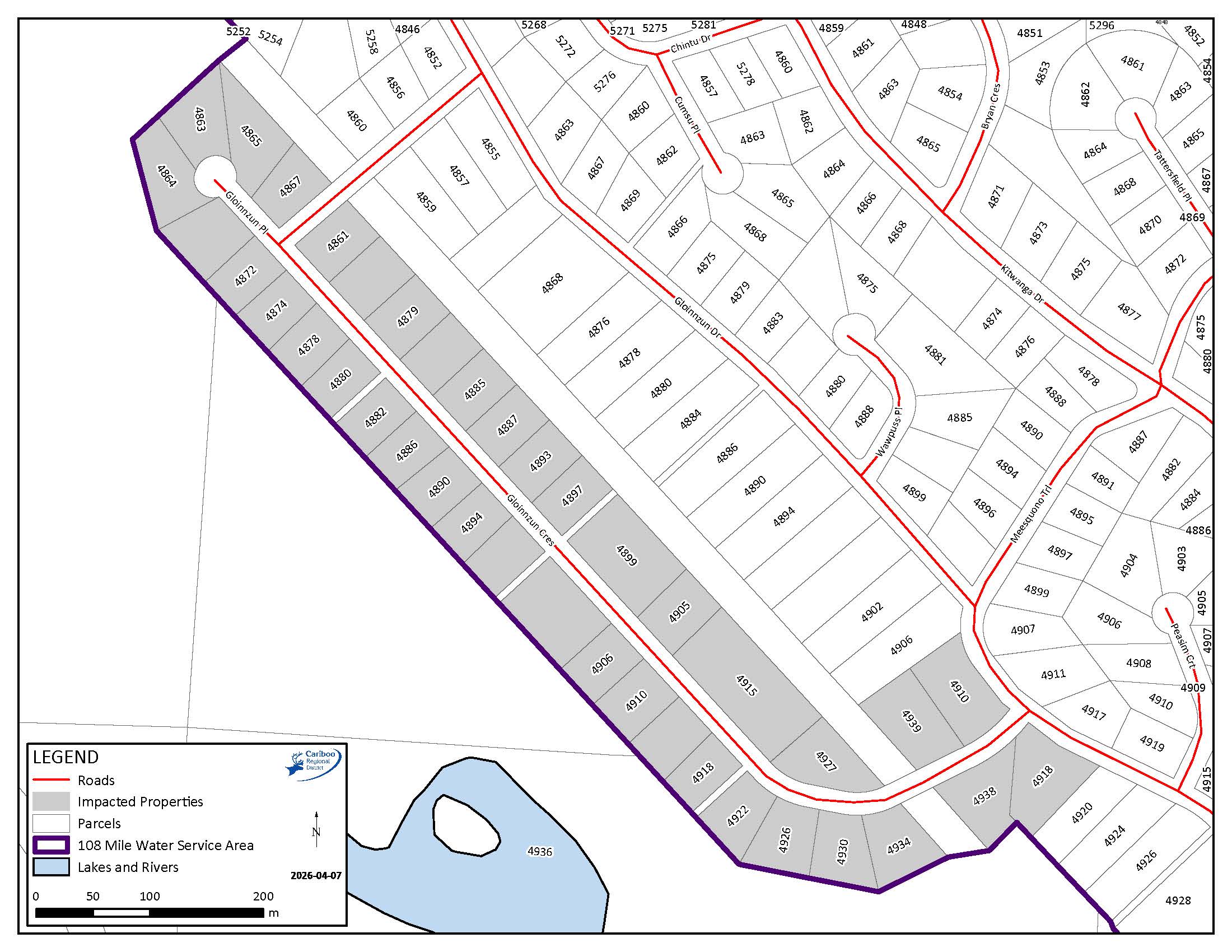
Issued for portions of Gloinnzun Crescent in the 108 Mile Water System.
The Cariboo Regional District (CRD) is advising residents on portions of Gloinnzun Crescent in the 108 Mile Water System of an upcoming temporary water service interruption and Boil Water Advisory.
See the impacted area:
Water Shutdown
Water service will be temporarily shut off on:
Date: April 8 2026
Time: 8:00 a.m. - 4:00 p.m.
This interruption is required to complete maintenance.
Boil Water Advisory
Following the shutdown, a Boil Water Advisory will be in effect as a precaution while the system is returned to normal operation.
Residents are advised to:
- Bring all water to a rolling boil for at least one minute before drinking, cooking, brushing teeth, or washing food
- Use boiled or bottled water for all consumption purposes
The advisory will remain in place until further notice. Water quality testing will be conducted, and the advisory will be lifted once it is confirmed that the water is safe to use.
What to Expect
- Temporary loss of water service during the shutdown period
- Possible air in the lines or discoloured water once service is restored
- Increased chlorine levels during system flushing
Residents are encouraged to run a cold water tap until the water clears after service is restored.
The CRD appreciates residents’ patience as this work is completed.

Contact Us
Central Cariboo - Williams Lake
Suite D, 180 North Third Avenue, Williams Lake, BC V2G 2A4
Phone: 250-392-3351
Toll Free: 1-800-665-1636
Email the CRD